Karayipler'de etkili olan ve son olarak Jamaika'yı vuran 5'nci kategorideki Melissa Kasırgası'nın bilançosu netleşmeye başladı.
Jamaika Sağlık ve Refah Bakanı Christopher Tufton, kasırgaya hazırlık amacıyla yapılan ağaç kesim çalışmaları sırasında en az 3 kişinin öldüğünü, 13 kişinin yaralandığını açıkladı.
Jamaika Yerel Yönetim Bakanı Desmond McKenzie ise, ülkenin şimdiye kadar gördüğü en ciddi doğal afetlerden birine tanıklık ettiğini belirterek, "Jamaika'nın en kötü deneyimlerinden birini yaşıyoruz. Altyapımız ciddi şekilde zarar gördü" ifadelerini kullandı.

ABD DIŞİŞLERİ BAKANI RUBİO'DAN JAMAİKA'YA DESTEK
Jamaika Başbakanı Andrew Holness da ABD Dışişleri Bakanı Marco Rubio'dan bir destek mesajı aldığını belirterek, "ABD Dışişleri Bakanı ve ABD Başkanı bize her zaman iyi davrandılar ve biz de ABD ile her zaman iyi ve güçlü ortaklar olduk. Bu nedenle, sağlayabilecekleri her türlü yardımın, gerekli gördüğümüz her türlü yardımın yapılması için çaba göstereceğiz" açıklamasında bulundu. Jamaika'daki etkisini kademeli olarak yitiren Melissa Kasırgası'nın Küba'nın ardından Bahamalar ile Turks ve Caicos Adaları dahil Karayipler'in diğer bölgelerinde etkili olmasının beklendiği bildirildi.

KARAYİPLER'DE ÖLÜ SAYISI EN AZ 7'YE YÜKSELDİ
Son gelişmelerle birlikte, Haiti'de heyelan sonucu meydana gelen 3 ölüm ve Dominik Cumhuriyeti'nde kanal temizleme çalışması sırasında yaşanan 1 ölüm ile birlikte, Melissa Kasırgası nedeniyle Karayipler'de yaşanan can kayıplarının sayısı en az 7'ye yükseldi.

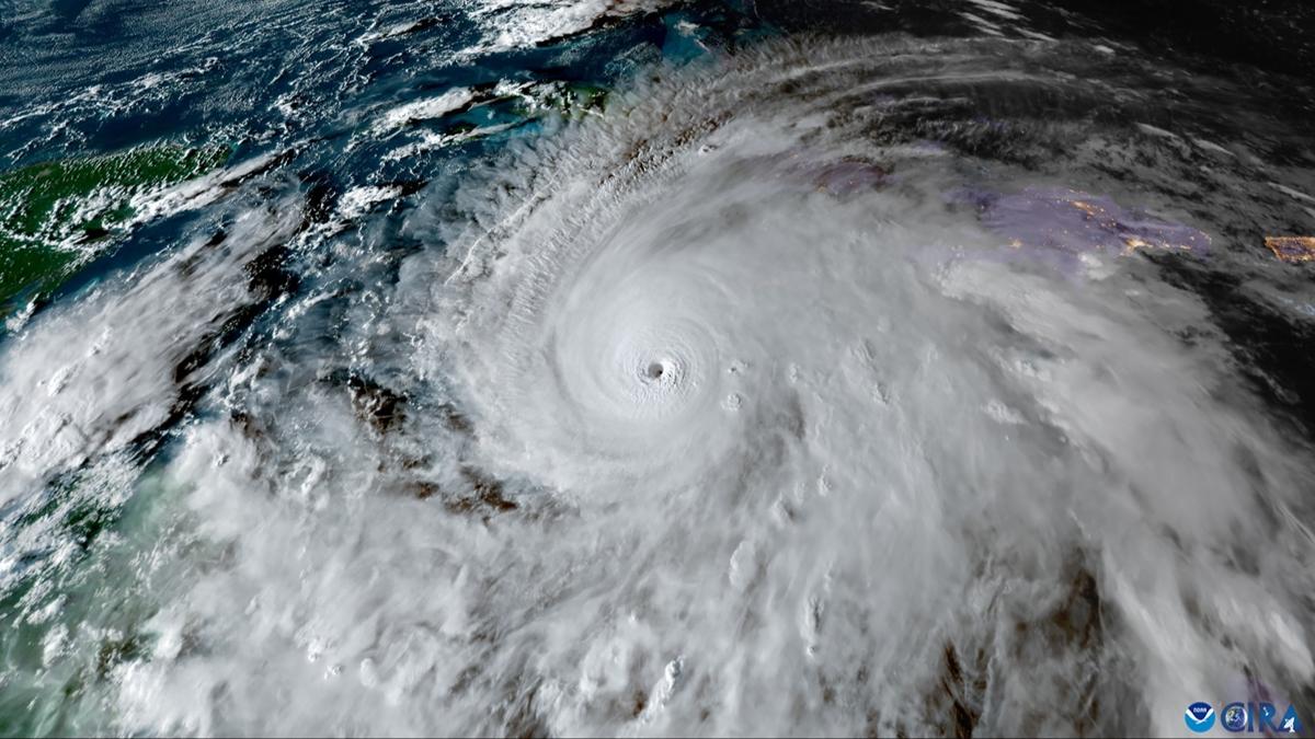
MELİSSA KASIRGASI JAMAİKA'DA HAYATI FELÇ ETMİŞTİ
Karayipler'de etki gösteren Melissa Kasırgası son olarak Jamaika'yı vurmuş, hızı saatte 295 kilometreyi bulan rüzgarlara ve şiddetli yağışlara yol açan kasırga en az 240 bin haneyi elektriksiz bırakmıştı. Birçok bölgede maddi hasar meydana gelirken, en az 6 bin kişinin 800'ü aşkın sığınağa tahliye edildiği açıklanmıştı. Birçok kesimde sel baskınları meydana gelmişti.




